开元appPosition
你的位置:开元棋牌官方网站入口 > 开元app > 开元棋牌app 地球大范围海温突立异高, 各人变暖要疯啊? 分析: 超强台风或更超等
发布日期:2026-04-21 03:49 点击次数:126

近期,当咱们凝视这张由缅因大学风物大学风物探讨所(CCI)发布的各人海温日平均弧线图时,一种前所未有的危机感扑面而来。图中深红色的2026年弧线正处于一个令东说念主畏惧的爬升位置,不仅绝对甩开了代表1982-2010年均值的黑虚线,致使在4月中旬一举卓越了曾创下顶点高温记录的2024年和2025年同时水平。这条红线就像地球的体温表,在春季本应守护沉稳的阶段,却爆发出一种不良善的延迟态势,宣告着各人海洋正插足一个能量高渡过载的新纪元。

一, 热浪狂飙的深海逻辑:为何红线在4月19日如斯扎眼
证明4月19日的最新监测,各人60°S至60°N之间的平均海温已攀升至约21.2°C傍边,这一读数在东说念主类不雅测史上处于整个的高位。这种热量的堆积并非偶而。固然2026年头北半球曾阅历过有顷的当然冷却预期,但跟着4月11日前后赤说念西风爆发,深层洋流积蓄的能量开动大范围向上层传导。这种跨越季节的变暖,实际上是当年数十年温室气体排放导致的海洋热含量(OHC)盈余在这一节点的辘集体现。

除了热带洋面的高温,4月19日的遥感数据裸露,开云体育(kaiyun)官网北大欧好意思副热带区域以及南大欧好意思聚首非洲沿岸的海域,温度正以1.5-2.0°C的额外增幅在毁灭。这种大范围、全盆地的变暖,意味着地球系统的革新机制正面对严峻挑战。当海洋不再是吸热的缓冲垫,而变成一个雄壮的开水炉,各人变暖的非线性加快特征便在4月19日这根高耸的弧线上得到了最直白的印证。

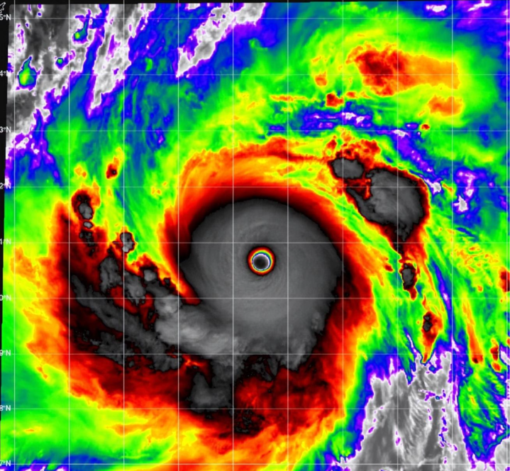
二, 能量工场的增压效应:超强台风可能变得更超等
海洋是台风的加油站。4月19日的海温散布径直决定了翌日数月热带气旋的强度天花板。热能源学指出,海温每升高1°C,大气中的水汽含量会加多约7%,开元app而提供给气旋的潜热开释将呈几何倍数增长。跟着海温突立异高,正本可能只是强台风级别的系统,在经由这种开水海域时,极易取得二次爆发的能源,从而演变为碎裂力惊东说念主的超强台风。

更危急的情况在于,极高的海温正诱发风物学上的顶点上冲云顶征象。这种能量爆发能让气旋的云顶高度直插平流层,变成访佛于-95°C以上的深冷区域,其对应的近大地风速将极其恐怖。在变热的布景下,台风不仅风速更快,其带来的降雨量也将加多。最新的跨年度探讨指出,这种温存的环境会导致风暴移动速率降速,降雨强度中位数加多约21%,这意味着翌日的灾害将从单纯的防风攻击为扫视捏久且暴力的洪涝攻击。

三, 厄尔尼诺的助燃剂:从量度发黑到现实冲击
在这张海温图背后,是正在连忙成形的厄尔尼诺相位。4月19日的量度贵寓裸露,Niño 3.4区的额外升温正处于爆发前夕,多个数值模子量度到6月后该区域将插足深红乃至发黑的高温景况。这种大环境与4月19日不雅测到的各人海温新高变成了共振效应。当超等厄尔尼诺与自身就额外温存的各人海面重复,地球的风物均衡极易发生不行逆的歪斜。

这种变热不单是是数字的最初,它将通过大气环流影响各人。固然4月19日的量度以为大欧好意思飓风季受厄尔尼诺剪切力影响可能稍许受限,但西太平洋的暖池区却在豪恣积蓄能量。当海温弧线在4月19日冲破21.2°C大关,它是在向全东说念主类通报:咱们正处于一个充满变数的磨叽纪元。大当然正在用史无先例的热力,再行界说超等台风的强度上限。搪塞这种卓越教养的顶点风物,4月19日的这份海温图即是咱们必须正视的第一份警报。
开元棋牌app